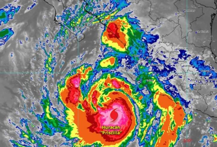
El huracán “Priscilla” de categoría 1 en la escala Saffir-Simpson se ubica esta mañana a 390 km al sur-suroeste de Cabo Corrientes, Jalisco , y a 675 km al sur-sureste de Cabo San Lucas, Baja California Sur, según informó el Servicio Meteorológico Nacional (SMN).

El fenómeno presenta vientos máximos sostenidos de 140 km/h, rachas de hasta 170 km/h y avanza hacia el noroeste a 7 km/h.

¿Cómo afectará el huracán “Priscilla” a Jalisco HOY lunes?

Los desprendimientos nubosos de “Priscilla” provocarán lluvias puntuales intensas (de 75 a 150 mm) en el sur de Jalisco , así como en Colima, Michoacán (costa y este) y Guerrero (costa y suroeste).

También se prevén lluvias muy fuertes en Nayarit y el sur de Sinaloa, además de precipitaciones fuertes en el sur de Baja California Sur.

La amplia

See Full Page