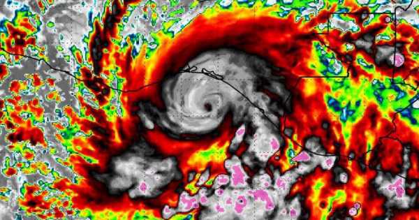
La tormenta tropical Melissa continúa su avance lento pero persistente por las cálidas aguas del mar Caribe , mientras los meteorólogos advierten sobre el riesgo de fuertes lluvias , inundaciones y deslizamientos de tierra en las próximas horas.
Formada este martes, Melissa podría fortalecerse y convertirse en huracán durante el fin de semana, según los pronósticos actualizados del Centro Nacional de Huracanes (NHC) de Estados Unidos . Los expertos anticipan que la tormenta podría alcanzar incluso la categoría de huracán mayor , impulsada por las altas temperaturas oceánicas que dominan la región.
Cuál es la trayectoria de Melissa y cuáles son las zonas en riesgo
Aunque el fortalecimiento de Melissa parece casi seguro, su trayectoria aún genera incertidumbre.

El Cronista Estados Unidos

El Paso Ya
El Periódico Estados Unidos
Associated Press Spanish
Just Jared
Newsweek Top
NBC News
Raw Story
NBC Sports Soccer
VICE