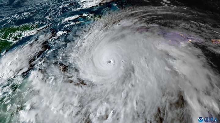
El primer ministro de Jamaica, Andrew Holness, declaró este martes al país como «zona catastrófica», tras el impacto del huracán Melissa de categoría 5 que disminuyó a 4, horas después de tocar tierra en Westmoreland, localidad ubicada en el suroeste.
La declaración se realizó en virtud de la Ley de Gestión del Riesgo de Desastres, según un comunicado de la oficina del primer ministro.
De acuerdo a los datos proporcionados por la Compañía de Servicios Públicos de Jamaica (JPS, en sus siglas en inglés), más de 530.000 clientes, alrededor del 77%, se encuentran sin servicio eléctrico en el país.
Por su parte, Desmond McKenzie, el ministro jamaicano de Desarrollo Comunitario y responsable de la respuesta ante desastres, lamentó en una rueda de prensa que se reportaron inundaciones generali

El Siglo

Aporrea
Noticias de Venezuela
Caraota Digital Mundo
Primicia
Últimas Noticias Mundo
CIUDAD VLC
EL NACIONALISTA
Raw Story
Daily Kos
OK Magazine