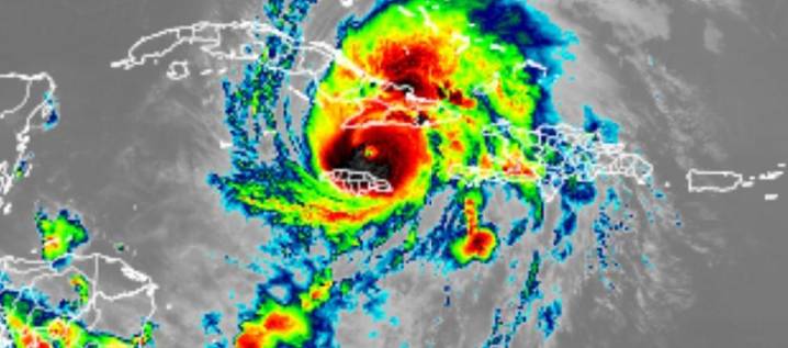
El Centro Nacionales de Huracanes indicó que el huracán Melissa bajó a categoría 3 en la escala de Saffir-Simpson, con su centro desplazándose hacia el norte-noreste de Jamaica y Cuba con una velocidad aproximada de 13 kilómetros por hora.
Por las bandas externas del sistema, junto con la interacción de otros patrones meteorológicos propios de la temporada, se prevé continúen generando precipitaciones de diversa intensidad sobre la cuenca del mar Caribe, así como condiciones meteomarinas adversas en el centro de la costa Caribe colombiana.
Para la región Caribe central, que comprende al Atlántico, Magdalena y Bolívar, el estado es de ‘aviso’, mientras que para las Islas Cayos del Norte del Archipiélago de San Andrés, Providencia y Santa Catalina se mantiene en ‘alerta’.
Nuestras n

Zonacero

HSB Noticias
Canal 1
CV Noticias TV
The Conversation
NBC News
Cleveland 19 News
AlterNet
Raw Story
CNN
Cinema Blend
The List
WDAM-TV Crime
TMZ