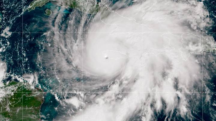
A massive, slow-moving hurricane is making its way through the Caribbean.
After slamming through Jamaica and causing extensive damage, according to The Guardian , Hurricane Melissa has hit Cuba. The news outlet reports that this is the strongest category 5 storm to hit Jamaica since it began recording storms in 1851, but has slowed to a category 3 over Cuba. Still, it will continue to cause destruction as it likely moves into the Bahamas.
The storm is remarkable in that its speed (very slow, moving at 7 miles per hour) and strength (up to 180mph winds) create the ultimate environment for destruction.
Videos of the storm and its impact are all over social media.
The most shocking and viral videos on X of the hurricane are from @ FlynonymousWX , aka the Tropical Cowboy of Danger, an

Mashable

WISC-TV Channel 3000
Charleston Gazette
CBS News
America News
FOX Weather
5 On Your Side Sports
Raw Story
Wheeling Intelligencer
Wheeling Intelligencer Sports