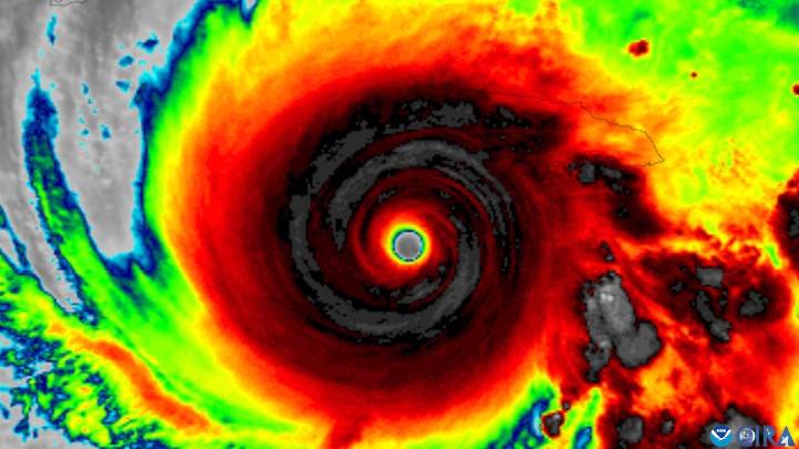
Hurricane Melissa’s powerful winds and drenching rains devastated Jamaica. But is its wrath a sign that we need a new designation for monster storms?
Does Hurricane Melissa Show It’s Time for a Category 6 Designation?
Scientific American Health18 hrs ago
22


WISC-TV Channel 3000
Charleston Gazette
NBC10 Philadelphia
America News
WCNC Charlotte Weather
New York Post
The Weather Channel
FOX Weather
Times West Virginian
The Conversation