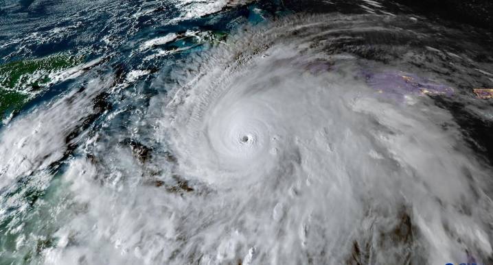
El poderoso huracán Melissa tocó tierra este martes en Jamaica con vientos feroces y lluvias torrenciales, convirtiéndose en la tormenta más poderosa que jamás haya golpeado la isla caribeña. Melissa, un huracán de categoría 5 (la máxima), alcanzó el suroeste del país cerca de la ciudad de New Hope con vientos máximos sostenidos de 295 km/h, informó el centro estadounidense de huracanes (NHC).
SIGUE EN VIVO LA TRAYECTORIA DEL HURACÁN MELISSA:
“Ésta es una situación extremadamente peligrosa y que pone en riesgo la vida”, indicó esa organización.
Newsletter Vuelta al Mundo
Francisco Sanz analiza cómo los eventos internacionales transforman el mundo, cada martes. Recíbelo
La isla ya lleva horas sufriendo crecidas y vientos extremos provocados por Melissa , uno de los huracanes más

El Comercio Mundo

Diario Viral
Sur Noticias
La Region
The Babylon Bee
FOX News Videos
Bitcoin Magazine