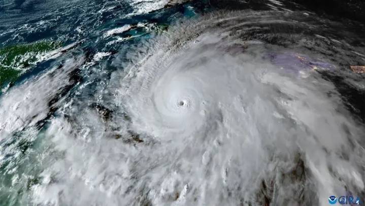
En su trayectoria prevista, el centro de Melissa impactará directamente sobre Jamaica este martes, con vientos catastróficos y que amenazan la vida, inundaciones y marejada.
El huracán Melissa se encuentra a unos 215 kilómetros al sureste de Kingston , la capital de Jamaica , y a 500 kilómetros al suroeste de Guantánamo, con vientos máximos sostenidos muy fuertes de 280 kilómetros por hora , según el último informe del Centro Nacional de Huracanes (NHC) de Estados Unidos a las 06:00 GMT.
En su trayectoria prevista, el centro de Melissa impactará directamente sobre Jamaica hoy, con vientos catastróficos y que amenazan la vida, inundaciones y marejada; se desplazará por el sureste de Cuba el miércoles por la mañana y continuará hacia el sur y centro de Bahamas durante l

Rpp Pe Deportes

@MSNBC Video
Political Wire
Reuters US Top
WCPO 9
Essentiallysports Football