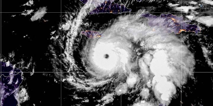
All across the Caribbean, families huddled in darkened homes as howling winds ripped through the night — a terrifying reminder of nature’s growing fury and the fragility of life in its path. Hurricane Melissa, once a swirling storm off the coast, has exploded into a catastrophic Category 5 hurricane, doubling its wind speeds in under 24 hours and leaving meteorologists reeling. Fed by unusually warm ocean waters, Melissa is now packing winds of up to 175 mph, tearing through the region and unleashing devastation in its wake. Melissa Unleashes Havoc Across the CaribbeanJust days ago, the storm strengthened into a Category 4 system on Saturday, unleashing torrential rain and sparking fears of catastrophic flooding across the northern Caribbean, according to the U.S. National Hurricane Center
Category 5 Hurricane Melissa Bears Down on Part of North America
AmoMama11 hrs ago
129


Fox 26 Liberty County
FOX 26 Houston
ABC13
KHOU 11 Texas
Breitbart News
Reform Austin
KWTX News 10
Community Impact Newspaper
Click2Houston
@MSNBC Video