LEER MÁS ► Insólito episodio en Brasil: un nene de 4 años quedó atrapado en una máquina de peluches
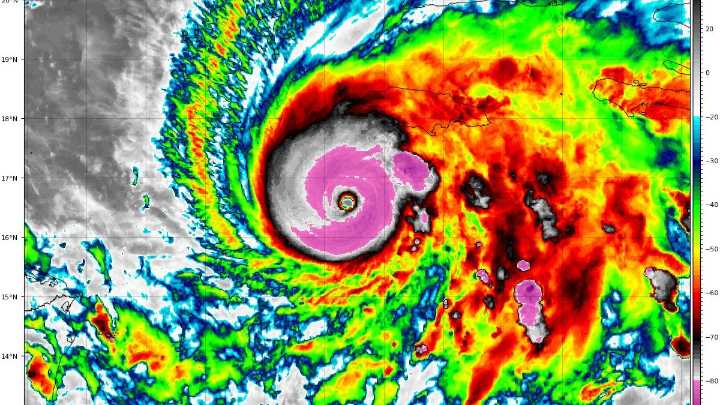
Jamaica bajo alerta por el huracán Melissa
El Centro Nacional de Huracanes de Estados Unidos (NHC) informó que Melissa se mueve con una velocidad preocupantemente baja, lo que aumenta el riesgo de lluvias intensas y deslizamientos de tierra.
“Melissa es ahora un huracán de categoría 5. Los vientos destructivos, las marejadas ciclónicas y las inundaciones catastróficas empeorarán en Jamaica a lo largo del día y durante la noche”, informó el organismo. Embed - https://publish.x.com/oembed?url=https://x.com/Charliesway4eve/status/1982979065012494762&partner=&hide_thread=false
Hasta el momento, al menos cuatro personas murieron en Haití y República Dominicana debido a los efectos

AIRE DIGITAL

Uno Entre Ríos
Minuto Uno Mundo
NOTICIAS NQN
NBC News
AlterNet
Raw Story