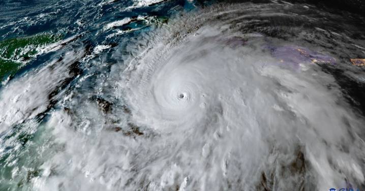
El Huracán Melissa se estacionó encima de las islas de Jamaica, Haití y Puerto Rico, causando máxima alerta debido a los históricos y destructivos vientos de más de 300 kilómetros por hora que trae.
Máxima alerta en Jamaica debido al Huracán Melissa: Evacúan casi todo el país por viento sobre 300 km/h
El Desconcierto10 hrs ago
102


New York Post Opinion