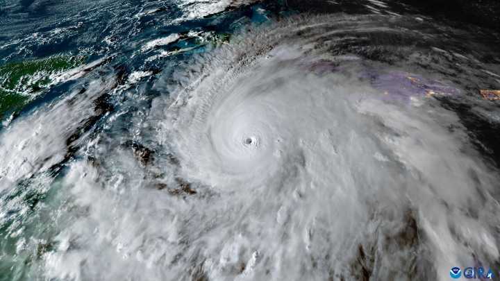
Miami (EE.UU.), 28 oct (EFE).- El huracán Melissa, de categoría 5, amenaza con convertirse en uno de los huracanes más devastadores de los últimos años, a raíz de los vientos máximos sostenidos de casi 300 kilómetros por hora con los que tocará tierra en Jamaica y las fuertes lluvias que lo acompañan.
Antes de su entrada a Jamaica, prevista en los próximos minutos, Melissa ya se ha convertido en el huracán más potente y en el tercero de categoría 5 -la más alta en la escala Saffir-Simpson- en la actual temporada en el Atlántico.
Esta es la primera ocasión desde 2005 en que se forman tres o más huracanes de máxima intensidad en el Atlántico. Aquel año observó cuatro ciclones de categoría 5, incluido el Katrina que arrasó el sur de Estados Unidos.
Además, Melissa será el primer huracán qu

Hola News Enterate

CNN en Español
Associated Press Spanish
NBC Chicago Entertainment