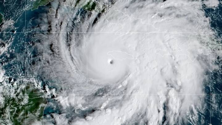
Con vientos de hasta 280km/h y olas de cuatro metros de altura, el huracán Melissa podría alcanzar Jamaica sobre el medio día de este martes, 28 de octubre.
En diálogo con Noticias RCN, el meteorólogo colombiano, Max Henríquez, advirtió que habiendo alcanzado la categoría cinco, la máxima para fenómenos de este tipo, podría convertirse en “el peor desastre natural de Jamaica, en toda su historia”.
En Colombia, “La Mesa Técnica de Alertas por Ciclones Tropicales (MTACT) informa que el huracán Melissa es categoría 5 y es la máxima intensidad de estos fenómenos. Actualmente el centro del sistema se encuentra a unos 135 kilómetros al sureste de Kingston, con una repercusión significativa en gran parte de Jamaica”.
Islas se mantendrán en alerta y departamentos bajo vigilancia:
A pesar de qu

Noticias RCN

MUNDO NOTICIAS
AlterNet
Associated Press US News
CNN
Essentiallysports College Sports
CNN Politics
RadarOnline