3 things to know about Hurricane Melissa Nation Oct 28, 2025 4:24 PM EDT
LIVE MAP: Track the path of Hurricane Melissa
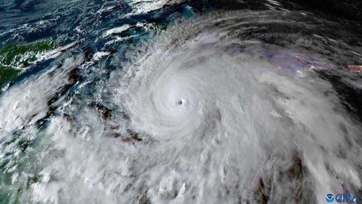
Hurricane Melissa, an intense Category 5 storm, brought violent winds and heavy rainfall to Jamaica after making landfall Tuesday and continues to threaten parts of the Caribbean as it tracks through. Melissa was then forecast to cross Cuba and the Bahamas through Wednesday.
Here is what to know about the storm.
A record storm for Jamaica
Melissa was a Category 5 hurricane, the highest level, when it made landfall Tuesday in Jamaica. It was the strongest to hit the island since recordkeeping began 174 years ago. Melissa caused power outages, fallen trees, landslides, and heavy flooding and tore off roofs in Jamaica.
The U.S. National Hurricane Center warned the si

PBS NewsHour US

FOX 10 Phoenix Latest
Siouxland News
KOAT
FOX 13 Tampa Bay Crime
FOX Weather
CNN Climate
CNN
RadarOnline
ABC30 Fresno Sports
The Daily Beast
MLB