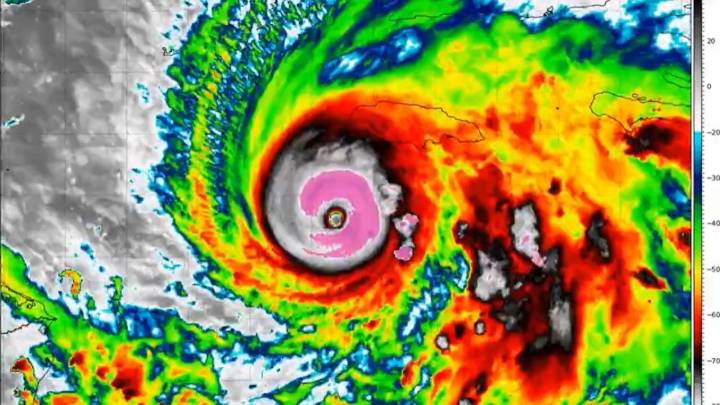
El huracán Melissa disminuyó a categoría 4, horas después de tocar tierra en Jamaica este miércoles 28 de octubre en categoría 5, sin embargo, mantiene su fuerza rumbo a Cuba. E l fenómeno natural llegó con vientos catastróficos y , el cual ha sido un evento meteorológico con más intensidad registrado en las últimas décadas.
Con base en información del Centro Nacional de Huracanes de Estados Unidos (NHC) , por sus siglas en inglés, el centro de Melissa que alcanzó la máxima intensidad impactó de forma directa sobre la costa sur de la isla de Jamaica . Sus efectos devastadores provocarán inundaciones y marejadas ciclónicas “potencialmente mortales”. Loading…
Por su parte, la Federación Internacional de Sociedades de la Cruz Roja y la Media Luna Roja (IFRC) puntualizó que el

La Silla Rota Mundo

CNN Politics
Tampa Bay Times Sports
NBC News Video
The Daily Beast