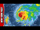
As Category 5 Hurricane Melissa approached Jamaica, resort guests were evacuated from their rooms to crowded ballrooms for safety ahead of the storm, which officials warned could cause catastrophic damage and deadly flooding.
People in Jamaica Forced to Take Shelter Amid Hurricane Melissa #shorts
New York Post Video13 hrs ago113


WBRZ News
FOX 5 NY
America News
FOX 13 Tampa Bay Crime
CBS News
WESH 2 News
FOX Weather
Newsday
WCNC Charlotte Weather
CNN Climate
FOX 51 Gainesville Crime
The Fashion Spot