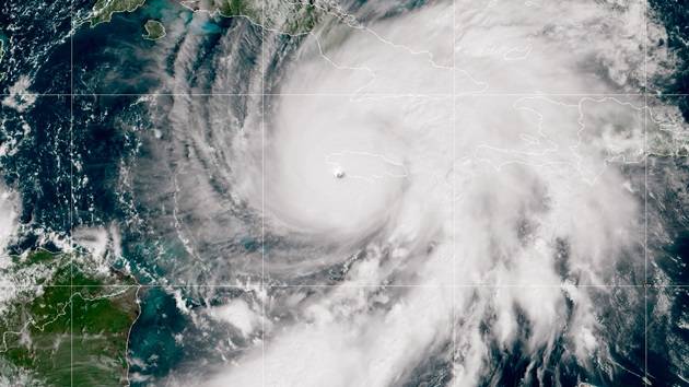
(NEW YORK) — At first light on Wednesday, the coastal communities of southwestern Jamaica bore the devastation of being in the direct path of Hurricane Melissa, as images emerging from the area show numerous homes destroyed, vehicles overturned, power lines down and trees uprooted.
One of the hardest-hit areas appeared to be the town of Black River, where many homes and businesses were left in ruins by the powerful Category 5 hurricane that made landfall on Wednesday. Twisted sheets of metal and busted concrete lay in ruins in the streets of the village, as first responders were seen in the footage weaving through downed power lines in search of survivors.
Jamaican Prime Minister Andrew Holness said his nation was “ravaged” by the hurricane’s 175 mph winds and torrential rain.
“I know m

WEIS Radio

CBS News World
The Daily Sentinel
Associated Press US and World News Video
New York Post
Daily Voice
WGRZ-TV
The Conversation
Detroit News
People Top Story
Raw Story