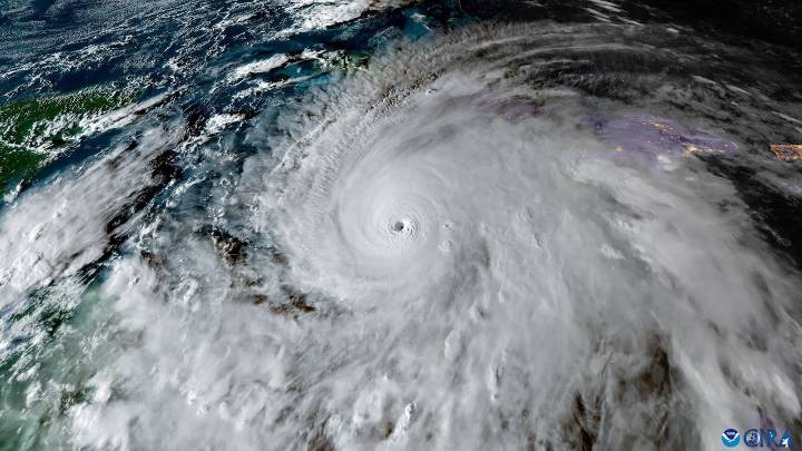
Hurricane Melissa’s Category 5 winds tore into western Jamaica Tuesday morning, marking one of the most powerful Atlantic landfalls ever recorded. CBC’s Johanna Wagstaffe looks at how Melissa may be part of a new hurricane era: storms fuelled by record-warm seas and slowed by a shifting jet stream.
Hurricane Melissa: a case study in a changing hurricane era
CBC News2 hrs ago
117


HealthDay
Truthout
Salon
NBC Connecticut Sports
The Athletic Sports NBA
Verywell Health
NBC 6 South Florida Sports
Post Register