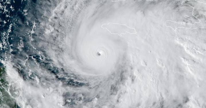
(CNN) — Tossed and battered by violent wind and severe turbulence, the National Oceanic and Atmospheric Administration’s Hurricane Hunters have spent the past week diving into the eye of Melissa — a storm of historic ferocity — to gather life-saving data. They have done it around the clock, 24/7, because their mission is considered essential to public safety.
But this time, with the government shut down, they have done it all without pay.
The Hurricane Hunters are a standard feature of US storm response. Information gathered by the planes’ specialized equipment, which includes a tail-mounted doppler radar that takes a virtual CT scan of the storm, are crucial for issuing accurate forecasts and gauging storm strength in real-time.
The data, including the radar information, is fed st

WAAY TV

ABC13
AlterNet
America News
Santa Maria Times Safety