RED BANK, S.C. — A proposal to build more than 400 homes in Red Bank could soon move forward, and some neighbors say they’re worried about what the added growth could mean for their community.
“I wish they would think before they did it,” said longtime Lexington County resident Charlene Jones. “I don’t know, they just need to look. It irritates me, I’m sorry.”
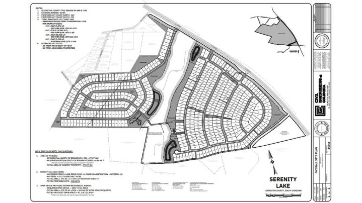
Jones lives in the Buck Corley Road area. The proposed subdivision — Serenity Lake — would be built just south of her road.
Mungo Homes is behind the plan, which outlines a 402-home development across nearly 174 acres surrounding Arrants Pond and just west of South Lake Drive.
Jones says the community is already struggling to keep up with growth.
“Not really happy about that because we can’t handle that kind of growth around her

News 19 WLTX

Santa Maria Times Safety
Times-News Magicvalley
K2 Radio Local
Associated Press US and World News Video
Ann Arbor News
CBS News
The Daily Beast
Detroit Free Press