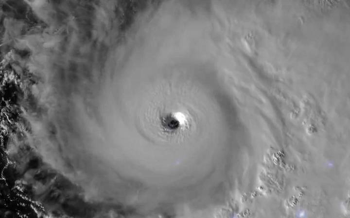
El huracán Melissa, formado como tormenta tropical el martes pasado en el mar Caribe, alcanzó la categoría 5 , según el Centro Nacional de Huracanes (NHC, en inglés) de Estados Unidos, que prevé v ientos destructivos, marejada ciclónica e inundaciones catastróficas que empeorarán en Jamaica durante el día y hasta esta noche.
La previsión es que Melissa golpee como huracán a Jamaica este lunes y a Cuba el martes o el miércoles, además de causar lluvias en Haití y en la República Dominicana, donde un millón de usuarios quedaron sin agua.
Desde el Centro Nacional de Huracanes se advierte a la población de Jamaica que no abandone su refugio seguro, ya que hasta mañana martes existe un alto riesgo de inundaciones repentinas y deslizamientos de tierra catastróficos.
Además, se recue

Aristegui Noticias

Proceso
El Financiero Mercados
El Heraldo de México
PACHUCA BRILLA
PACHUCA VIVE
The Daily Beast
AlterNet
The Babylon Bee