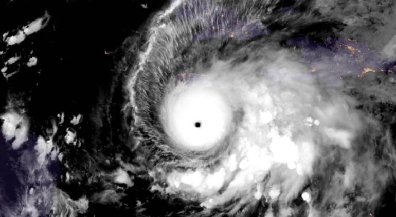
El Centro Nacional de Huracanes (NHC, por sus siglas en inglés) de Estados Unidos identificó que Melissa tiene vientos que rebasan los 250 kilómetros por hora y es posible que sus lluvias asociadas causen inundaciones "catastróficas" y diferentes deslizamientos de tierra.
Antes, este ciclón pasó por Haití y República Dominicana, donde dejó tres muertos en el primer país y uno más en el segundo, así como una persona desaparecida.
El vicepresidente del Consejo de Gestión de Riesgos de Desastres de Jamaica, Desmond McKenzie dijo: "Quiero pedir a los jamaicanos a tomar esto en serio".
Esperan que el epicentro del huracán toque tierra el martes en Jamaica y cruce para Cuba y las Bahamas el próximo miércoles.
Evan Thompson, director principal del servicio meteorológico de Jamaica, advirtió q

Tiempo de Oaxaca

EL QUINTANA ROO
La Jornada Mundo
El Sol de México
El Heraldo de México
PACHUCA BRILLA
Noticaribe DEPORTE
PACHUCA VIVE
Plaza de Armas
The Hill
The Babylon Bee
Women's Wear Daily