Reuters Published 6 seconds ago
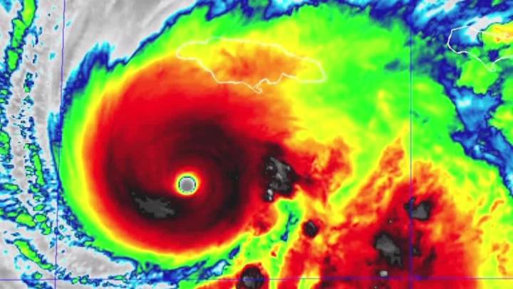
Hurricane Melissa began lashing Jamaica with violent gusts on Monday as the U.S. National Hurricane Center upgraded it to a Category 5 storm packing sustained winds of 265 kph, the largest on record to slam into the Caribbean island.
Reuters Please enable JavaScript to view this content.

The Globe and Mail World

CBC News
CityNews Toronto
Winnipeg Free Press World
AlterNet
The Daily Beast
Raw Story
What's on Netflix
New York Post
The Danville Register & Bee Entertainment
OK Magazine