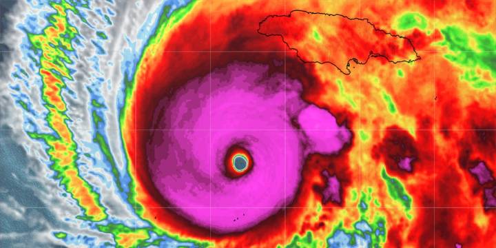
HUNTINGTON, W.Va. (WSAZ) - Hurricane Melissa is threatening Jamaica with the classic triple threat of a major hurricane.
Tony has some show-and-tell of how Melissa is behaving like a top as she eyes landfall on Tuesday.
Copyright 2025 WSAZ. All rights reserved.

WSAZ NewsChannel 3

AVweb
TMZ
New York Post
Newsweek Top
America News
FOX 51 Gainesville Crime
Florida Today
WFTV Channel 9
CNN
FOX 26 Texas
Arizona's Family
CBS News
RealClear Politics