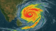
Hurricane Melissa, a Category 5 storm, is barrelling toward Jamaica with sustained winds reaching 175 miles per hour. Meteorologists have warned that this could be the strongest hurricane in the island’s recorded history, The New York Times reported.
The storm is expected to make landfall on Tuesday morning, bringing life-threatening flooding and a severe storm surge.
According to meteorological agencies, Melissa has been moving slowly across the warm waters of the Caribbean, intensifying as it approaches Jamaica. Officials have warned that the hurricane could bring rainfall measured in feet, posing a significant risk of flash floods and landslides, The New York Times reported.
Advertisement
Authorities have ordered the evacuation of more than one million residents from vulnerable area

The Statesman

Livemint
StratNewsGlobal
CNBC-TV18
6abc Action News Sports
RealClear Politics
The Babylon Bee
The Manchester Evening News Crime
FOX News Videos
NBC DFW Sports