Potentially catastrophic Hurricane Melissa is forecast to slam the southern coast of Jamaica on Tuesday morning with sustained winds of up to 185 mph, even higher gusts and a life-threatening storm surge, leaving a wake of destruction across the island before focusing its ferocity on southeastern Cuba.
Torrential downpours that could produce 15 to 30 inches of rain, with as much as 40 inches of rain possible in isolated locations, are also expected to contribute to deadly landslides in the island's mountainous terrain, the U.S. National Hurricane Center said.
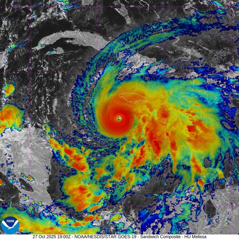
With its fierce intensification, Melissa became the strongest tropical cyclone of 2025 globally, "beating out the Western Pacific’s Typhoon Ragasa," meteorologist Jeff Masters wrote for Yale Climate Connections on Oct. 27. At least seven deaths in the Caribbean had been blamed on the dangerous hurricane as of Monday.
At 10 a.m. ET on Tuesday, the National Hurricane Center reported Melissa was centered about 45 miles west-southeast of Negril, Jamaica, and 255 miles southwest of Guantanamo, Cuba. The hurricane had begun moving toward the north-northeast and was moving at about 7 mph, with maximum sustained winds near 185 mph, higher than previously thought.
That ties it "with the heavy hitters" in hurricane history for second strongest winds on record, Phil Klotzbach, a senior hurricane research scientist at Colorado State University, told USA TODAY.
"LAST CHANCE TO PROTECT YOUR LIFE," the hurricane center said in its 10 a.m. update.
How to protect yourself from catastrophic Hurricane Melissa winds
The National Hurricane Center urged Jamaica's residents to act now to protect their lives before the eye of Melissa moves over the island.
"THIS IS AN EXTREMELY DANGEROUS AND LIFE-THREATENING SITUATION! TAKE COVER NOW!" the center said at 10 a.m. ET.
To protect yourself from wind, put as many walls as possible between you and the outside, moving to an interior room without windows and where you can avoid falling trees, the center said. You can also cover yourself with a mattress and wear a helmet.
Life-threatening winds from Hurricane Melissa will be even worse in mountains
Within the catastrophic winds of the eyewall, "total structural failure is likely, especially in higher elevation areas where wind speeds atop and on the windward sides of hills and mountains could be up to 30% stronger" than the winds at the surface, the hurricane center warned.
If the estimated sustained winds at the surface remain at 185 mph, that would put wind speeds at Jamaica's higher elevations well over 230 mph.
Hurricane Melissa to become first Category 5 hurricane to strike Jamaica
Jamaica's Prime Minister Andrew Holness and other officials urged Jamaicans to seek safe shelter and to stay off the roads until the worst of the hurricane passes over. The island's residents were also encouraged to be prepared for impacts they have not experienced with previous hurricanes.
"Hour by hour, it is becoming apparent that the impact of Hurricane Melissa will be greater than the impact of Hurricane Beryl, certainly in terms of rainfall and flooding," Holness said.
Melissa is expected to be the first Category 5 hurricane to strike the island. That's the highest category possible on the Saffir-Simpson Hurricane Wind Scale. It's also forecast to bring up to a 13-foot storm surge, topped by large battering waves, on the south coast of Jamaica, and a surge almost as high where it's forecast to strike the southeastern coast of Cuba, the hurricane center said.
Torrential rains had already been falling for days, and tropical storm-force winds and rain in Melissa's outer bands had begun to batter Jamaica earlier Monday. The hurricane was forecast to make landfall near the Black River and begin increasing in speed.
The storm could cause "extensive infrastructural damage, long-lasting power and communication outages," isolating communities, the center said.
Even if the hurricane's fiercest winds begin to wane as the hurricane approaches land, the hurricane center warned there is little difference in the destructive power of winds that are Category 4 (130-156 mph) as opposed to Category 5, (greater than 157 mph).
Melissa powered up over the warm waters in the Caribbean last week, its winds increasing by 65 mph in one 15-hour period. Its low barometric pressure and high winds moved Melissa into a rarified group of the most dangerous hurricanes in the Atlantic basin, researchers said.
Deaths, injuries reported in the islands as Hurricane Melissa approaches
At least three people died in Jamaica as they were preparing for Hurricane Melissa, Christopher Tufton, the country’s minister of health and wellness, said on Monday.
The deaths, which occurred in the parishes of Hanover, Saint Catherine and Saint Elizabeth, happened while trees were being cut down, Tufton said. Two people died after trees fell on them, including one health worker who was airlifted to a hospital and later died of his injuries. The third case involved a person who was also electrocuted, the health minister said.
Another 13 people were injured, according to Tufton, most after falling from ladders or roofs while trying to prepare for the storm.
At least four deaths also had been reported in Haiti and the Dominican Republic by late Monday, according to Reuters.
What's keeping Hurricane Melissa away from the US?
A series of weather systems have contributed to heavy rain and dangerous surf across parts of the Southeast, especially in Florida, but the well-timed systems also are part of a weather pattern that's forecast to help spare the mainland U.S. from any direct impacts from powerful Hurricane Melissa.
On Sunday, "multiple feet" of water were reported in the lobby of a Boca Raton resort after heavy rains, according to the National Weather Service in Miami, Florida. In Central Florida, more than 19 inches of rain were reported within 24 hours in Eustis, in Lake County, while more than 16 inches of rain were reported in multiple locations elsewhere in the county, according to the weather service office in Melbourne, Florida. Read more.
Hurricane Melissa's coastal impacts on US
Melissa could briefly bring a swell and rough seas to the U.S. East Coast after it passes the Bahamas later in the week, but because of the angle and speed at which it's moving off into the Atlantic, David Roth, a meteorologist with the National Weather Service's Weather Prediction Center, said any coastal impacts should be short-lived.
Although storms passing offshore, including tropical systems and a nor'easter, have caused erosion and beach impacts several times this hurricane season, the only Atlantic system to make landfall in the mainland U.S. so far was Tropical Storm Chantal, which moved over the South Carolina coast and through North Carolina on July 6.
Hurricane Melissa is a dangerous storm
As Melissa's pressure dropped and winds increased on Monday and Tuesday, it began working its way into the history books. It's the third Category 5 hurricane of the Atlantic season.
Barometric pressure is a measure of the air pressure in Earth's atmosphere. Low pressure is often associated with bad weather, while high pressure is typically linked to good weather.
The lower the pressure, the more powerful the hurricane, Klotzbach, the senior hurricane researcher at Colorado State University, said in a post on X.
According to the National Hurricane Center, its pressure plummeted to 892 millibars in a 10 a.m. update on Tuesday, putting it third on Klotzbach's list of hurricanes with the lowest recorded pressures:
- Wilma (2005): 882
- Gilbert (1988): 888
- Melissa (2025): 892
- Milton (2024): 895
- Rita (2005): 895
- Allen (1980): 899
- Katrina (2005): 902
Only five other hurricanes with winds of 111 mph or higher have made landfall in Jamaica, according to historical records, said Phil Klotzbach, a senior hurricane research scientist at Colorado State University. Hurricane Gilbert, which made landfall with maximum winds of 130 mph in 1988, is the strongest storm on record to make a direct landfall on the island.
Turbulence in the eye of the powerful hurricane forced one reconnaissance flight with the National Oceanic and Atmospheric Administration to depart the eye of the storm early on Monday, according to the hurricane center.
Hurricane Melissa promises feet of rain in Jamaica. How it measures up
A forecast for several feet of rain is rare, but not unheard of during fall storms in Jamaica.
2010 – Hurricane Nicole matched that, but in less time, dropping 37.42 inches of rain at Belleisle, Jamaica, over five days, the hurricane center reported. Most of the island received 1 to 2 feet of rain during the same period. More than 13 people died, and damage to the country's infrastructure was reported at roughly $235 million.
2001 – During the last few days of October and the first few days of November in 2001, slow-moving Hurricane Michelle helped cause widespread heavy rains over Central America and Jamaica, according to the hurricane center. Rainfall totals over 10 days were as high as 37.44 inches at Comfort Castle, Jamaica. Two deaths were reported in Jamaica, and five deaths were reported in Cuba.
1963 – Hurricane Flora reportedly dropped 60 inches of rain in Silver Hill, Jamaica, and 100.39 inches in Santiago de Cuba, Cuba, according to a historical report by David Roth, a NOAA meteorologist.
1909 – Historical records, including a monthly review by the U.S. Weather Bureau, show a record of 135 inches of rain at Silver Hill over eight days from Nov. 4 to Nov. 11.
Contributing: Reuters
Dinah Voyles Pulver, a national correspondent for USA TODAY, has written about hurricanes, tornadoes and violent weather for more than 30 years. Reach her at dpulver@usatoday.com or @dinahvp on Bluesky or X or dinahvp.77 on Signal.
This article originally appeared on USA TODAY: Hurricane Melissa live updates: 'Last chance to protect your life' NHC warns
Reporting by Dinah Voyles Pulver, Thao Nguyen and Jeanine Santucci, USA TODAY / USA TODAY
USA TODAY Network via Reuters Connect

USA TODAY National
TIME
GV Wire
WAND TV
FOX 13 Tampa Bay Crime
WWSB
Reuters US Top
AlterNet
RealClear Politics
Raw Story