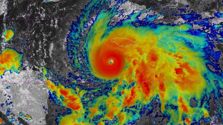
Potentially of Jamaica on the morning of Oct. 28 with sustained winds of up to 175 mph, even higher gusts and a life-threatening storm surge, leaving a wake of destruction across the island before focusing its ferocity on southeastern Cuba.
Torrential downpours that could produce 15 to 30 inches of rain, with as much as 40 inches of rain possible in isolated locations, are also expected to contribute to deadly landslides in the island's mountainous terrain, the U.S. National Hurricane Center said.
With its fierce intensification, Melissa became the strongest tropical cyclone of 2025 globally, "beating out the Western Pacific’s Typhoon Ragasa," meteorologist Jeff Masters wrote for At least 7 deaths in the Caribbean had been blamed on the dangerous hurricane as of Oct. 27.
At 5 a.m. ET on

Florida Today

CBS News
10 Tampa Bay
Newsweek Top
America News
New York Post Video
FOX 51 Gainesville Crime
CNN
The Babylon Bee
The Oregonian Public Safety