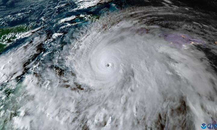
Redacción Medioambiente, 28 oct (EFE).- El huracán Melissa se encuentra a unos 215 kilómetros al sureste de Kingston, la capital de Jamaica, y a 500 kilómetros al suroeste de Guantánamo, con vientos máximos sostenidos muy fuertes de 280 kilómetros por hora, según el último informe del Centro Nacional de Huracanes (NHC) de Estados Unidos a las 06:00 GMT.
En su trayectoria prevista, el centro de Melissa impactará directamente sobre Jamaica hoy, con vientos catastróficos y que amenazan la vida, inundaciones y marejada; se desplazará por el sureste de Cuba el miércoles por la mañana y continuará hacia el sur y centro de Bahamas durante la jornada del miércoles.
Actualmente, los vientos máximos sostenidos de Melissa alcanzan 280 km/h con rachas aún más intensas, manteniéndose como un huracán

La Conexion

OKDIARIO Estados Unidos
Metro Puerto Rico
Reuters US Domestic
Raw Story