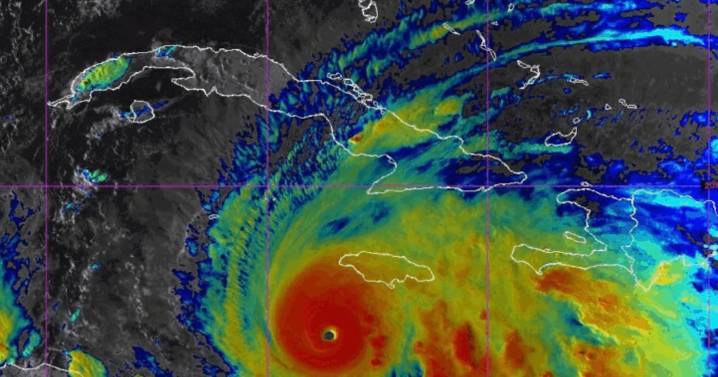
Se pronostica que Melissa generará vientos catastróficos y potencialmente mortales, marejadas ciclónicas y lluvias extremas en Jamaica. (NOAA)
El huracán Melissa alcanzó ayer categoría 5 , la máxima en la escala de Saffir-Simpson, convirtiéndose en la tormenta más intensa registrada en 2025 , según el Centro Nacional de Huracanes (CNH) de EE. UU. mientras amenazaba con un impacto catastrófico a Jamaica.
En el boletín de las 5 pm EDT , el ojo de Melissa se ubicaba en la latitud 16.7 N y longitud 78.4 W, a unas 140 millas al suroeste de Kingston, Jamaica , y a 320 millas de Guantánamo, Cuba . Presenta vientos máximos sostenidos de 175 mph con ráfagas más fuertes y se desplaza hacia el noroeste a 3 mph , con presión central mínima de 906 mb (26.76 pulgadas) .
El NHC

Metro Puerto Rico

OKDIARIO Estados Unidos
La Conexion
Univision Washington D.C.
The Intercept
Associated Press US News
The Daily Beast
CNN
WILX News 10
WNDU Sports
WFMJ-TV
RadarOnline