El devastador impacto del huracán Melissa ya se siente en Jamaica este martes. El Ministerio de Salud y Bienestar de la isla informó el lunes por la noche que se habían registrado tres muertes relacionadas con la tormenta "en preparación" para el huracán.
Además, ya dejó cuatro víctimas mortales en Haití y República Dominicana.
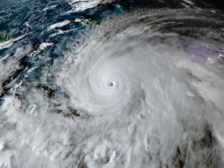
Video El huracán Melissa alcanza la categoría 5 y apunta a Jamaica
Melissa se encuentra a unos 215 kilómetros al sureste de Kingston, la capital de Jamaica, y a 500 kilómetros al suroeste de Guantánamo, con vientos máximos sostenidos muy fuertes de 280 kilómetros por hora, según el último informe del Centro Nacional de Huracanes (NHC) de Estados Unidos a las 3 de la mañana hora argentina.
Actualmente, los vientos máximos sostenidos de Melissa alcanzan 280 k

Clarín Mundo

Diario de Cuyo
La Nación Sociedad
Noticias de Argentina
The Hill
Raw Story
FOX19 NOW
Health Digest