AI-assisted summary
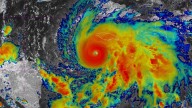
Hurricane Melissa is approaching Jamaica as a powerful Category 5 storm with 175 mph winds.
The storm is expected to cause catastrophic damage with life-threatening winds, rain, and storm surge across Jamaica, Cuba, and Haiti.
While the storm is devastating the Caribbean, current models show it poses little to no direct risk to Florida or the continental U.S.
Hurricane Melissa is creeping closer to Jamaica Tuesday, Oct. 28 as a Category 5 hurricane with maximum sustained winds of 175 mph, according to the latest advisory from the National Hurricane Center in Miami. The dangerously powerful storm is expected to make landfall today.
The island nation is bracing for what could be its worst hurricane in recorded history, evacuating parts of its capital, closing ai

Ocala Star-Banner

Sarasota Herald-Tribune
USA TODAY National
7News Boston WHDH
New Jersey Herald
WWSB
WAND TV
Associated Press Top News
FOX News Videos
Edmonton Sun World
CNN Politics