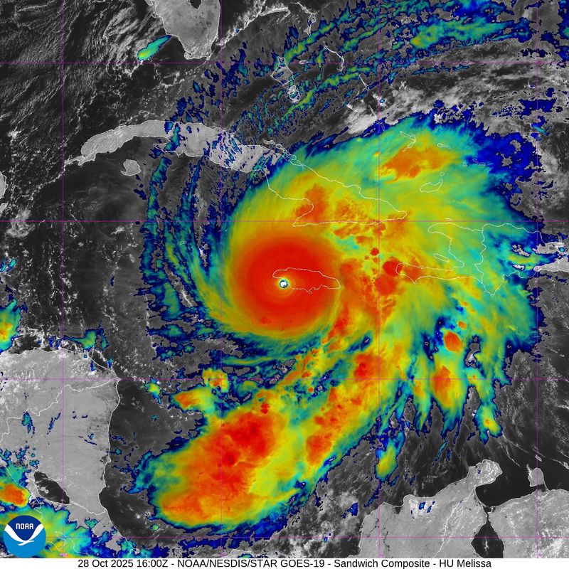
Hurricane Melissa made landfall on the southwestern coast of Jamaica on Tuesday, Oct. 28, bringing with it catastrophic winds, flash flooding and storm surge, according to the National Hurricane Center.
The Category 5 storm hit the coast near New Hope around 1 p.m. ET Tuesday with dangerous wind speeds around 185 mph after churning slowly toward the island nation. The hurricane center said Melissa's landfall is one of the most powerful in the Atlantic Basin's recorded history.
"Residents in Jamaica should remain in a safe shelter," the hurricane center said in the 11 a.m. ET advisory on Oct. 28. "In the warning area in Cuba and the Bahamas, preparations to protect life and property should be rushed to completion."
"Melissa is expected to reach Jamaica and southeastern Cuba as an extremely dangerous major hurricane, and it will still be at hurricane strength when it moves across the southeastern Bahamas," the NHC said in the 11 a.m. advisory. Forecasters said Melissa will move across southeastern Cuba early Wednesday morning, Oct. 29, and move across the southeastern or central Bahamas later Wednesday.
Torrential downpours that could produce 15 to 30 inches of rain, with as much as 40 inches of rain possible in isolated locations, are also expected to contribute to deadly landslides on Jamaica's mountainous terrain, the U.S. National Hurricane Center said.
With its fierce intensification, Melissa became the strongest tropical cyclone of 2025 globally, "beating out the Western Pacific’s Typhoon Ragasa," meteorologist Jeff Masters wrote for Yale Climate Connections on Oct. 27. At least seven deaths in the Caribbean had been blamed on the dangerous hurricane as of Oct. 27.
Forecasters said life-threatening storm surge is expected along the southern coast of Jamaica on Oct. 28, with peak storm surge heights potentially reaching 9 to 13 feet above ground level. The storm surge will be accompanied by "large and destructive waves," the NHC said. On the northwest coast of Jamaica, near Montego Bay, there is a possibility of 2 to 4 feet of storm surge above ground level.
Swells generated by Melissa are expected to affect portions of Hispaniola, Jamaica, eastern Cuba and the Cayman Islands during the next several days, forecasters said, likely causing "life-threatening surf and rip current conditions." These swells will reach the Bahamas, the Turks and Caicos Islands and Bermuda later this week.
Live video shows footage from the island as the storm roars ashore:
Hurricane Melissa tracker
This forecast track shows the most likely path of the center of the storm. It does not illustrate the full width of the storm or its impacts, and the center of the storm is likely to travel outside the cone up to 33% of the time.
Hurricane Melissa spaghetti models
Illustrations include an array of forecast tools and models, and not all are created equal. The hurricane center uses only the top four or five highest-performing models to help make its forecasts.
Melissa becomes first Category 5 hurricane to strike Jamaica
Jamaica's Prime Minister Andrew Holness and other officials urged Jamaicans to seek safe shelter and to stay off the roads until the worst of the hurricane passes over. The island's residents were also encouraged to be prepared for impacts they have not experienced with previous hurricanes.
"Hour by hour, it is becoming apparent that the impact of Hurricane Melissa will be greater than the impact of Hurricane Beryl, certainly in terms of rainfall and flooding," Holness said.
Within the catastrophic winds of the eyewall, "total structural failure is likely, especially in higher elevation areas where wind speeds atop and on the windward sides of hills and mountains could be up to 30% stronger" than the winds at the surface, the hurricane center warned. If the estimated sustained winds at the surface remain at 175 mph, that would put wind speeds at higher elevations well over 200 mph.
The storm could cause "extensive infrastructural damage, long-lasting power and communication outages," isolating communities, the center said.
How do hurricanes form?
Hurricanes are born in the tropics, above warm water. Clusters of thunderstorms can develop over the ocean when water temperatures exceed 80 degrees. If conditions are right, the clusters swirl into a storm known as a tropical wave or tropical depression.
A tropical depression becomes a named tropical storm once its sustained wind speeds reach 39 mph. When its winds reach 74 mph, the storm officially becomes a hurricane.
This story has been updated to add new information.
Contributing: Dinah Voyles Pulver and Thao Nguyen, USA TODAY
Gabe Hauari is a national trending news reporter at USA TODAY. You can follow him on X @GabeHauari or email him at Gdhauari@gannett.com.
This article originally appeared on USA TODAY: See Hurricane Melissa tracker, path as Category 5 storm makes landfall in Jamaica
Reporting by Gabe Hauari, USA TODAY / USA TODAY
USA TODAY Network via Reuters Connect

USA TODAY National
Sarasota Herald-Tribune
ABC News Weather
Newsweek Top
America News
New York Post Video
FOX 51 Gainesville Crime
Florida Today
WFTV Channel 9
CNN
AlterNet
FOX News Videos
The Daily Beast