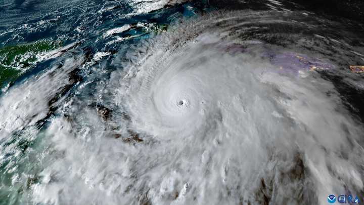
Jamaica espera el huracán Melissa, de categoría 5, que se prevé que entre en contacto con la isla en la madrugada de este martes, donde ya ha provocado cortes eléctricos, unos efectos que también se han sentido en República Dominicana y Haití y que tienen al sur de Cuba en alerta.
La Organización Meteorológica Mundial (OMM), que depende de la ONU, advierte que “se espera una situación catastrófica en Jamaica”. La especialista en ciclones tropicales de la OMM, Anne-Claire Fontan, señaló que para Jamaica, Melissa "será sin duda la tormenta del siglo”.
Según la última alerta del Centro Nacional de Huracanes de EE. UU. (NHC), Melissa se encuentra a unos 240 kilómetros al sureste de Kingston, la capital jamaicana, con vientos máximos sostenidos de 280 kilómetros por hora, y se desplaza a unos

El Tiempo Internacional

Semana
Salon
RealClear Politics
IMDb TV
People Top Story
Raw Story