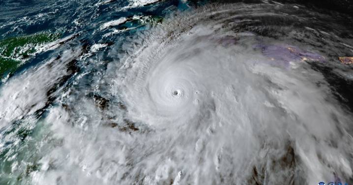
La Federación Internacional de la Cruz Roja dijo este martes que se estima que al menos un millón y medio de personas sufrirán de forma directa el impacto del poderoso huracán Melissa en su ruta por el Caribe, la mayoría ellas en la isla de Jamaica, para la cual este será "el huracán del siglo".
Solo en Jamaica hasta un millón de personas podrían resultar afectadas , lo que representa más de un tercio de su población total, pero también se prevé que haya centenares de miles de afectados en Cuba, Bahamas, República Dominicana y Haití.
En Jamaica las autoridades han preparado más de 800 refugios para acoger a la población evacuada .
Se anticipan graves daños a las infraestructuras , que comunidades enteras queden aisladas y la interrupción de los servicios esenciales debido a la fuer

LA PATRIA

Semana
Los Angeles Times Opinion
Raw Story
AlterNet