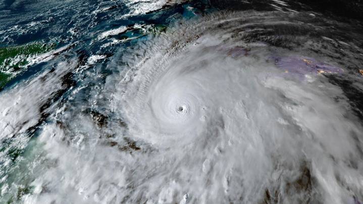
El avance del huracán Melissa continúa por el Caribe en dirección noreste, con una velocidad de unos 280 kilómetros por hora. Ante la posibilidad de que este martes por la mañana golpee las islas del sudeste de Bahamas , el Gobierno del país ordenó evacuar la zona.
(Lea también: El huracán Melissa alcanza la categoría 5 y deja al menos 7 muertos en Jamaica, Haití y República Dominicana )
El primer ministro y ministro de Finanzas de la nación, Philip Davis , anunció la decisión tomando en cuenta las recomendaciones de la Autoridad de Gestión del Riesgo de Desastres (DRM, por sus siglas en inglés), que advirtió que las condiciones podrían empeorar el miércoles.
"Este aviso se emite para garantizar que las personas más expuestas puedan ser reubicadas con seguridad antes de q

Globovision Internacionales

Noticias de Venezuela
Notitarde
Últimas Noticias Monagas
NOTICIAS AL DÍA Y A LA HORA
AlterNet
Honolulu Star-Advertiser Traffic