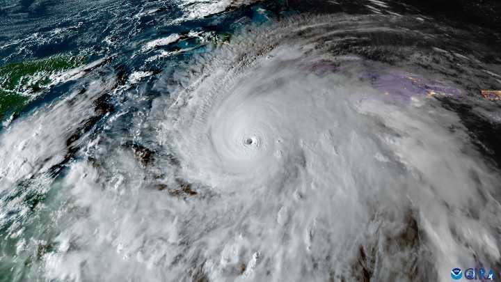
Satellites around Earth are watching as a powerful Hurricane Melissa travels toward Jamaica.
On Oct. 21, scientists began monitoring Hurricane Melissa — the 13th named storm of the Atlantic Hurricane season this year — develop. Just four days after its formation, the storm quickly became a large and dangerous major hurricane on the Saffir-Simpson Hurricane Wind Scale, churning into a monster storm early on Monday (Oct. 27) as sustained winds reached 175 miles per hour (280 kilometers per hour).
Currently classified as a Category 5 storm, Melissa is moving at a snail's pace, making the storm even more destructive. It has the possibility of making landfall in Jamaica as the strongest hurricane in the nation's recorded history. According to the National Oceanic and Atmospheric Administratio

Space.com

ABC Action News
FOX 32 Chicago World
WSVN 7 News
Newsweek Top
America News
New York Post Video
FOX 51 Gainesville Crime
Florida Today
WFTV Channel 9
CNN
Cleveland Jewish News
Honolulu Star-Advertiser Traffic
CNN Politics