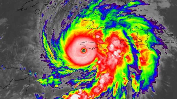
Melissa is strengthening before landfall, is now a 180 mph Category 5, and one of the strongest Atlantic hurricanes in history. Follow for live updates.
Category 5 Hurricane Melissa’s landfall is imminent in Jamaica
CNN4 hrs ago
29
CNN4 hrs ago
Melissa is strengthening before landfall, is now a 180 mph Category 5, and one of the strongest Atlantic hurricanes in history. Follow for live updates.