live |
Hurricane Melissa: Jamaica braces for catastrophic winds and flooding as Category five storm approaches
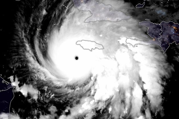
Hurricane Melissa is set to pummel Jamaica on Tuesday as a catastrophic category five storm, the strongest to lash the island since record-keeping began 174 years ago.
Follow our live blog here: 9 minutes ago Amy Blaney
Jamaica braces for catastrophic winds and flooding as Hurricane Melissa approaches
Hurricane Melissa intensified Tuesday as it crawled toward Jamaica, where officials and residents braced for catastrophic winds, flash flooding and landslides from the Category 5 storm, one of the strongest Atlantic hurricanes in history.
The streets in the capital, Kingston, remained largely empty as Melissa approached with 185 mph (295 kph) winds, save for the lone

Independent.ie News

Ideastream
Akron Beacon Journal
Salon
The Daily Beast
RadarOnline
Bitcoinist
Android Authority