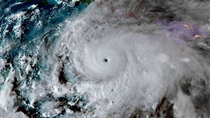
El huracán Melissa comenzó a azotar Jamaica este lunes con violentas ráfagas, y el Centro Nacional de Huracanes de Estados Unidos (NHC, por sus siglas en inglés) lo elevó a categoría 5, con vientos sostenidos de hasta 270 kilómetros por hora. Se trata del fenómeno más poderoso que ha golpeado a la isla caribeña desde que existen registros meteorológicos .
HACÉ CLICK AQUÍ PARA UNIRTE AL CANAL DE WHATSAPP DE DIARIO PANORAMA Y ESTAR SIEMPRE INFORMADO
“No se aventuren fuera de su refugio seguro” , advirtió el NHC en su comunicado matutino y luego detalló sobre los “efectos catastróficos” que podría tener el huracán en Jamaica. Mientras, las autoridades jamaiquinas insistían en la urgencia de evacuar las zonas costeras. “Evacúen hoy, porque las condiciones van a deteriorarse” , remar

Diario Panorama

Clarín Mundo
Diario de Cuyo
La Nación Sociedad
Noticias de Argentina
El País Internacional
New York Post
The American Lawyer
The Hill
Roll Call
KBTX News 3 Sports
Just Jared