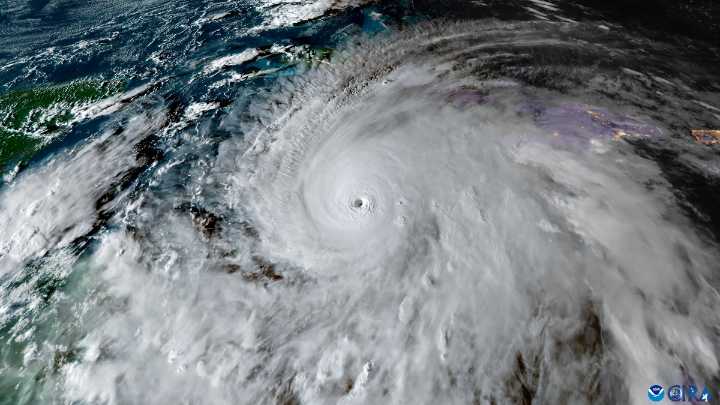
Los efectos del huracán Melissa, de categoría 5 , golpean ya Jamaica con vientos catastróficos y lluvias torrenciales y se prevé que tocará tierra en esta isla las "próximas horas" manteniendo su intensidad extrema, informó este martes el Centro Nacional de Huracanes (NHC) de Estados Unidos.
Melissa se aproxima a la costa occidental de Jamaica con vientos sostenidos de 280 kilómetros por hora, lluvias torrenciales y marejadas que amenazan con provocar inundaciones y daños catastróficos, detalló.
El organismo meteorológico advirtió de que Melissa tocará tierra en las próximas horas, manteniendo su intensidad extrema antes de cruzar el sureste de Cuba el miércoles y llegar a las Bahamas el jueves.
Las estaciones meteorológicas de Kingston y Montego Bay ya registran vientos sosten

Cooperativa Mundo

Puranoticia
La Nación Chile
CNN
Face of Malawi
Fast Company Lifestyle
The Babylon Bee
Bloomberg TV
The Daily Beast
RadarOnline
Raw Story
ABC30 Fresno Sports