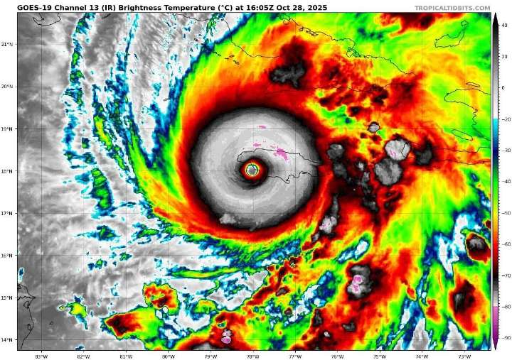
El huracán Melissa tocó tierra este martes en Jamaica con una fuerza histórica: vientos sostenidos de hasta 295 kilómetros por hora, lluvias torrenciales y marejadas que amenazan con provocar inundaciones y daños catastróficos en gran parte del país.
De acuerdo con el Centro Nacional de Huracanes (NHC) de Estados Unidos, el ojo del ciclón —catalogado como categoría 5, el nivel más alto en la escala Saffir-Simpson— ingresó por las inmediaciones de Black River, en el suroeste de la isla. El organismo calificó el impacto como “uno de los más potentes registrados en la cuenca atlántica”. “Se trata de una situación extremadamente peligrosa y que amenaza la vida. La población debe buscar refugio inmediato”, advirtió el NHC desde Miami.
Melissa avanza lentamente hacia el norte-noreste, a uno

EL INDEPENDIENTE MX

Tiempo Digital DEPORTE
Unomasuno
La Silla Rota Mundo
The Daily Beast
Associated Press US News
CNN
RadarOnline