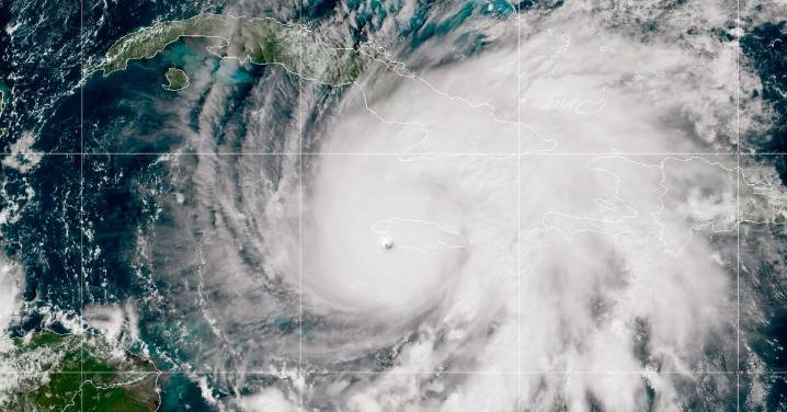
'Storm of the century' tears through Jamaica .
Hurricane Melissa Live Updates: Hurricane Melissa makes landfall in Jamaica; Winds over 320km/hr expected; Nation braces for devastation
Nine News World11 hrs ago
27
Nine News World11 hrs ago
'Storm of the century' tears through Jamaica .