CNN —
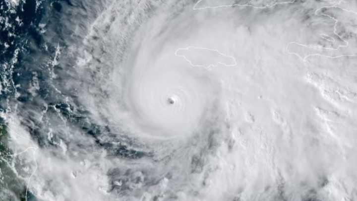
El huracán Melissa azotó Jamaica con la fuerza de un ciclón de categoría 5, trayendo vientos de 180 mph (unos 290 km/h), lluvias torrenciales e inundaciones. Melissa ahora se dirige hacia Cuba con fuerza de categoría 3 o 4. CSU-CIRA/RAMMB/NOAA
Minuto a minuto Huracán Melissa de categoría 3, en vivo: última hora, impacto en Jamaica y Cuba, trayectoria y más
Se trata de una de las tormentas más fuertes que jamás haya golpeado el país y podría “transformar Jamaica durante años”.
Varias organizaciones sin fines de lucro han preparado equipos y suministros antes de la llegada de la tormenta para que puedan comenzar a brindar ayuda y asistencia lo antes posible.
Para conocer formas de ayudar a quienes están en el camino de Melissa, puedes hacer clic aquí.
Imacta tu Mund

CNN en Español

Noticias de América
Salon
@MSNBC Video
Boing Boing
The Shaw Local News Sports
The Daily Beast