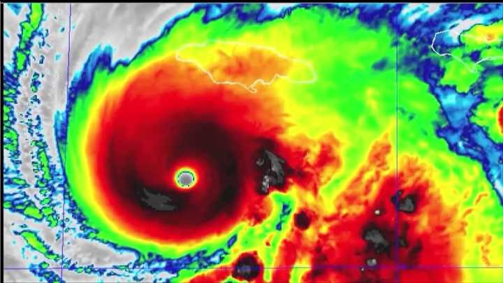
ATLANTA - An Atlanta-area chef is anxiously waiting for word from his family in Jamaica as Hurricane Melissa batters the island with destructive wind, rain and storm surge.
Jamaican chef in Atlanta worried about family
What they're saying:
Chef Andrew Cohen, who owns Chef Andrew Jamaican Cuisine in the Riverside neighborhood, says he has not heard from any relatives since Monday, including his 16-year-old daughter.
"I can't hear from nobody, I just watching the news. I seen Saint Elizabeth, top of a hospital blow off, and now I can't get a hold on nobody," Cohen said.
Cohen had just returned from Jamaica last week. He says his daughter briefly texted him late Monday night.
"Late last night my daughter texted me and asked me if I'm OK, and I tell her that. Asked her if she's OK. She

FOX 5 Atlanta Crime

WRDW-TV News 12 Crime
WTOC 11
ABC News
ABC30 Fresno Sports
Salon
The Daily Beast
NBC News
The Babylon Bee
MLB