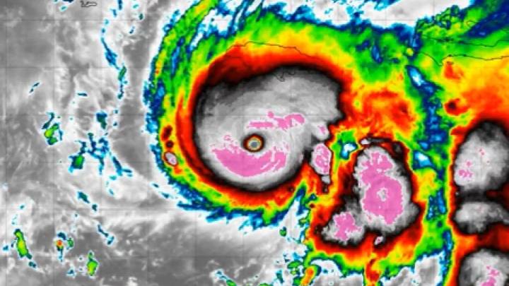
El huracán Melissa, formado como tormenta tropical el martes pasado en el mar Caribe, ha alcanzado la categoría 5, según el Centro Nacional de Huracanes (NHC, en inglés) de Estados Unidos, que prevé vientos destructivos, marejada ciclónica e inundaciones catastróficas que empeorarán en Jamaica durante el día y hasta esta noche.
La previsión es que Melissa golpee como huracán a Jamaica este lunes y a Cuba el martes o el miércoles, además de causar lluvias en Haití y en la República Dominicana, donde un millón de usuarios quedaron sin agua. Desde el Centro Nacional de Huracanes se advierte a la población de Jamaica que no abandone su refugio seguro, ya que hasta mañana martes existe un alto riesgo de inundaciones repentinas y deslizamientos de tierra catastróficos.
Además, se recuerda que

20 Minutos Internacional

Televisa Noticias Clima
Expansion
El Financiero Mercados
El Heraldo de México
PACHUCA BRILLA
PACHUCA VIVE
Raw Story
RadarOnline
NBC Connecticut Sports
The Babylon Bee
Cover Media