Por Adrián Espinosa Escrito en GLOBAL el 27/10/2025 · 15:49 hs Última actualización: 27/10/2025 · 15:51 hs
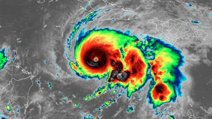
El huracán Melissa se perfila como el fenómeno más devastador que haya azotado a Jamaica en tiempos modernos.
Clasificado actualmente como una tormenta de categoría 5, el fenómeno avanza lentamente hacia la isla con una potencia que amenaza con arrasar comunidades enteras y alterar de manera irreversible el paisaje costero del Caribe.
Huracán Melissa, el más letal en la historia de Jamaica
De acuerdo con el Centro Nacional de Huracanes, el sistema se encuentra a unos 240 kilómetros al suroeste de Kingston , desplazándose con lentitud peligrosa.
Los vientos sostenidos, que ya alcanzan velocidades superiores a los 250 kilómetros por hora , se intensifican

El Mañana MX

El Heraldo de México
Noticaribe DEPORTE
PACHUCA BRILLA
Tiempo de Oaxaca
La Voz de Michoacán
Por Esto!
PACHUCA VIVE
El Sol de Cuautla Mundo
CNN