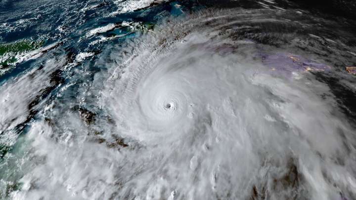
El huracán Melissa se ha intensificado durante los últimos días hasta alcanzar la categoría 5 en la escala Saffir-Simpson . Te contamos qué significa este fortalecimiento del ciclón que recorre el Caribe y cuáles son los mayores huracanes que ha recorrido el Atlántico .
Noticia relacionada: Así Es la Trayectoria del Huracán Melissa Hoy; Presidente de Jamaica Advierte Devastación
¿Qué significa que el huracán Melissa alcance la categoría 5?
Melissa, que ya suma 8 muertos, comenzó su paso por el Caribe como una tormenta tropical . Bajo este estado golpeó República Dominicana y Haití.
Sin embargo, al estacionarse al sur de Jamaica el meteoro consiguió fortalecerse hasta alcanzar la categoría 5 en la escala Saffir-Simpson.
Dicha escala, desarrollada en 1969, mide los

Nmas

El Sol de Tlaxcala Policiaca
OK Magazine
Raw Story
CNN
The Daily Bonnet
AlterNet
ABC30 Fresno Sports
Associated Press US News
People Travel
Axios