Jamaica is braced for ‘Melissa’ as hurricane upgraded to Category 5
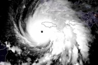
Hurricane Melissa moves north in the Caribbean Sea towards Jamaica and Cuba. Photo: Reuters
Clouds cover Kingston, Jamaica, ahead of the forecast arrival of Hurricane Melissa. Photo: Matias Delacroix/AP
Hurricane Melissa intensified to Category 5 strength yesterday as it neared Jamaica, where forecasters said it would unleash catastrophic flooding, multiple landslides and extensive infrastructure damage.
Melissa is forecast to make landfall on the island and cross Cuba and the Bahamas through tomorrow.
Early yesterday, Melissa was centred about 220 kilometres south-west of Kingston, Jamaica and about 515 kilometres southwest of Guantanamo, Cuba, the US National Hurricane Centre in Miami said.
The hurricane had maximu

Independent.ie News

Sky News World
BBC News Video
The Daily Record Scottish News
Salon
5 On Your Side Sports
AlterNet
CNN
RadarOnline