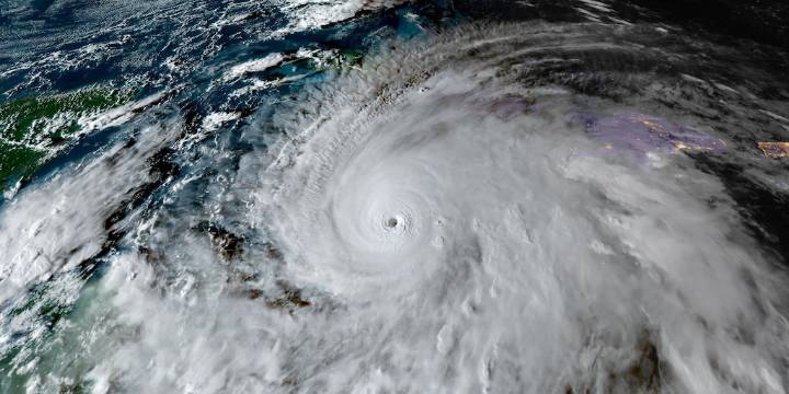
El Gobierno de Bahamas emitió en las últimas horas del lunes una orden formal de evacuación para los residentes de Inagua, Acklins, Crooked, Mayaguana y Ragged, municipios ubicados en el sureste del país caribeño, ante la llegada del huracán Melissa , de categoría 5.
“ Este aviso se emite para garantizar que las personas que corren mayor riesgo puedan ser reubicadas de forma segura antes de que las condiciones empeoren ”, precisó en una rueda de prensa el primer ministro bahameño, Phillip Davis.
El mandatario indicó que, según el Departamento de Meteorología de Bahamas, se prevé que Melissa comience a afectar el sureste del país a primera hora de este martes , y se espera que las condiciones empeoren a lo largo del miércoles a medida que la tormenta avance por la zona.
Ante es

Infobae México

El Sol de Tlaxcala Policiaca
Noticaribe DEPORTE