Breathtaking video from the eye of fearsome Hurricane Melissa emerged from a Hurricane Hunter flight with the U.S. Air Force Reserve, clearly showing the inner workings that turned it into one of the most powerful storms in the history of the Atlantic hurricane basin.
In the videos taken on Monday, Oct. 27, clusters of clouds swirl around the hurricane's "eye." At times, the clouds show bright white, highlighted by the sun. The relatively calm "eye" gives a hurricane its structure and intensity. A storm's most intense winds reside in a ring just around that center known as the eyewall.
In many storms, hurricane hunters have referred to the inside view of the eye surrounding their aircraft as a "stadium effect." But during a ride on a flight into the eye on the morning of Oct. 27, hurricane scientist Andy Hazelton said Melissa's "eye," appeared more cylindrical than the "classic stadium effect," forcing him to tilt his camera to try to capture the bright blue patch of sky at the top of the column.
It was a "wild ride," and his first in a Category 5 hurricane, Hazelton wrote in an X post of his Monday morning flight. Hazelton, an associate scientist at the University of Miami, said it was "definitely the most turbulent I've ever experienced."
What's happening at the center of Hurricane Melissa?
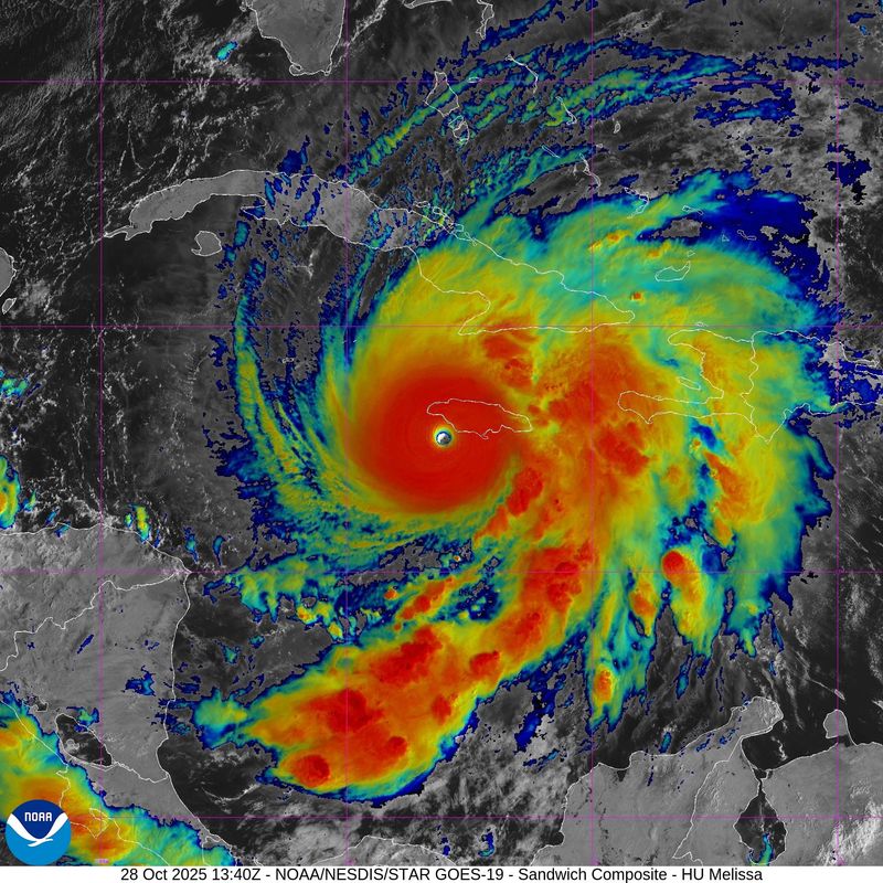
Melissa's eye is an estimated 10 miles in diameter. The effects of the action happening around it can be seen in the overnight changes in the hurricane's wind speeds and pressure readings.
The peak winds wrapped around the eye were estimated at 175 mph at the surface, with gusts up to 215 mph, on Oct. 27, according to the National Hurricane Center. By 10 a.m. on Oct. 28, as Hurricane Melissa bore down on Jamaica's southern coast, the peak sustained winds had risen to 185 mph, with higher gusts. The air pressure had plummeted from a measure of 901 millibars to 892 millibars.
The warming air at the center of a hurricane drops the barometric pressure and fuels the spiraling cycle, creating even lower pressures and faster winds. The barometric pressure is a measure of the air pressure in the Earth's atmosphere, the lower it drops, the more powerful a hurricane becomes.
A reading of 892 millibars is among one of the lowest on record in the Atlantic, according to data from Phil Klotzbach, a senior hurricane researcher at Colorado State University.
At flight level, where the reconnaissance aircraft fly, the sustained winds and gusts are much higher, the reason the hurricane center is so concerned about the potential for higher winds at the higher elevations in Jamaica.
The turbulence around the eye during a reconnaissance flight by the National Oceanic and Atmospheric Administration on the morning of Oct. 27 forced the flight to exit its investigation of the eye earlier than planned, the National Hurricane Center reported.
How the hurricane's 'eye' works
Hurricanes begin as clusters of thunderstorms that develop over a warm ocean. When an eye forms, warm, humid air swirls around the eye, speeding up as it approaches the center. At the same time, air is rising outside the eyewall in the surrounding bands of thunderstorms.
As thunderstorm activity organizes in the spiraling bands, low-level air converges toward the center, then moves upward. As it reaches the top of the storm, some of the air flows outward and some descends in the center, releasing heat energy and clearing out the eye.
A member of the Air Force Reserve's 53rd Weather Reconnaissance Squadron, known online only as the anonymous "Tropical Cowboy of Danger," also shared videos and tidbits of information in an Oct. 27 X post on their "Hurricane Hunters" flight.
After an explosive intensification over the weekend, Hurricane Melissa was well on its way to hurricane history. It continued to strengthen and amaze hurricane scientists on Oct. 27 as it closed in on the coast of Jamaica.
Meteorologist Jeff Masters wrote on Oct. 27, that Melissa became the globe's strongest tropical cyclone in 2025 after beating out 165-mph winds of the Western Pacific’s Typhoon Ragasa and its central pressure of 910 millibars.
The mean diameter of Hurricane Melissa's wind field, including its tropical storm force winds, was about 247 miles, according to a USA TODAY analysis of the National Hurricane Center's forecast advisory at 11 p.m. Oct. 27. The mean diameter of its hurricane-force wind field is only about 51.75 miles.
Rain-producing hurricanes in Jamaican history
A forecast for several feet of rain is rare, but not unheard of during fall storms in Jamaica.
2010 – Hurricane Nicole matched that, but in less time, dropping 37.42 inches of rain at Belleisle, Jamaica, over five days, the hurricane center reported. Most of the island received 1 to 2 feet of rain during the period. More than 13 people died, and damage to the country's infrastructure was reported at roughly $235 million.
2001 – During the last few days of October and the first few days of November in 2001, slow-moving Hurricane Michelle helped cause widespread heavy rains over Central America and Jamaica, according to the hurricane center. Rainfall totals over 10 days were as high as 37.44 inches at Comfort Castle, Jamaica. Two deaths were reported in Jamaica, and five deaths were reported in Cuba.
1963 – Hurricane Flora reportedly dropped 60 inches of rain in Silver Hill, Jamaica, and 100.39 inches in Santiago de Cuba, Cuba, according to a historical report by David Roth, a NOAA meteorologist.
1909 – Historical records, including a monthly review by the U.S. Weather Bureau, show a record of 135 inches of rain at Silver Hill over eight days from Nov. 4 to Nov. 11.
Dinah Voyles Pulver, a national correspondent for USA TODAY, has written about hurricanes, tornadoes and violent weather for more than 30 years. Reach her at dpulver@usatoday.com or @dinahvp on Bluesky or X or dinahvp.77 on Signal.
This article originally appeared on USA TODAY: Haunting video shows what's inside Hurricane Melissa, a Category 5 monster
Reporting by Dinah Voyles Pulver, USA TODAY / USA TODAY
USA TODAY Network via Reuters Connect

USA TODAY National
11Alive
NBC News Video
WLKY
Newsweek Top
America News
New York Post Video
FOX 51 Gainesville Crime
Florida Today
CNN
The Intercept